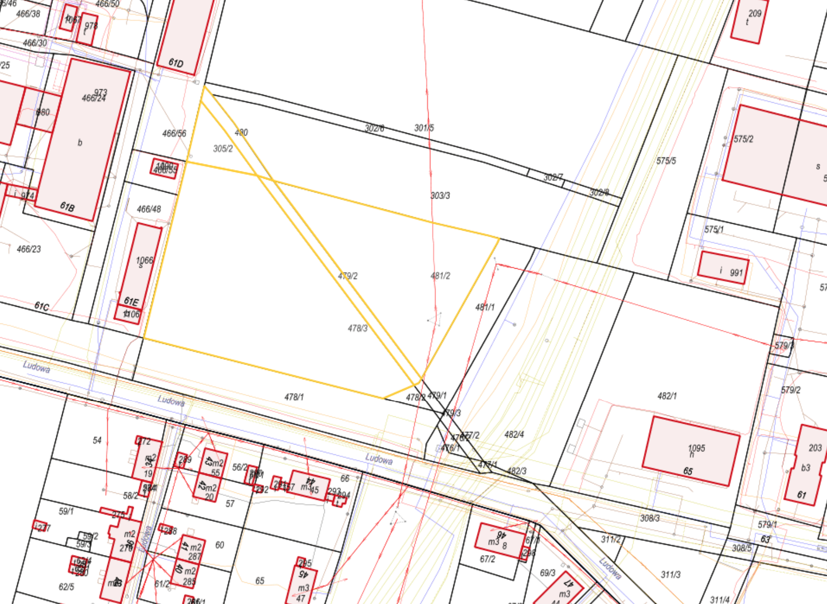
Działka nr 305/2, 480, 479/2, 481/2, 478/3 Wałbrzych, ul. Ludowa
Powierzchnia działki: 9 606 m2
Miejscowość: Wałbrzych
Dzielnica: Biały Kamień
Położenie
| Nazwa lokalizacji |
Działka nr 305/2, 480, 479/2, 481/2, 478/3 ul. Ludowa |
| Miasto/Gmina | Wałbrzych |
| Powiat | Wałbrzych |
| Województwo | dolnośląskie |
Powierzchnia nieruchomości
| Powierzchnia działki | 9 606 m2 |
| Możliwość powiększenia terenu (krótki opis) |
Nie |
Informacje dotyczące nieruchomości
Nieruchomość o powierzchni 9606 m2, położona w Wałbrzychu przy ul. Ludowej. Obowiązuje miejscowy plan zagospodarowania przestrzennego, który przeznacza ją pod tereny obiektów produkcyjnych, baz, składów i magazynów. Nieruchomość posiada dostęp do drogi publicznej oraz możliwość uzbrojenia.
| Orientacyjna cena gruntu z nieruchomością | |
| Właściciel/właściciele | Gmina Wałbrzych |
| Aktualny stan zagospodarowania przestrzennego (T/N) | N |
| Przeznaczenie w miejscowym planie zagospodarowania przestrzennego | 18P |
Charakterystyka działki
| Miejscowy Plan Zagospodarowania Przestrzennego (T/N) | T |
| Przeznaczenie terenu wg MPZP | 18P |
| Obecne użytkowanie nieruchomości | – |
| Budynki i zabudowania na terenie (T/N) | N |
Komunikacja
| Droga dojazdowa do terenu | Ludowa |
| Autostrada / droga krajowa [km] | Autostrada A4 [35 km]; Droga krajowa S3 [20km] |
| Najbliższy przystanek komunikacji miejskiej | Ludowa [200 m] |
| Najbliższy przystanek dworzec PKP [km] | Wałbrzych Centrum [2,0 km] |
| Najbliższe lotnisko międzynarodowe [km] | Wrocław [70 km] |
| Najbliższe miasto wojewódzkie | Wrocław [70 km] |
Istniejąca infrastruktura
| Elektryczność na terenie (T/N) | – |
| – | |
| Napięcie | brak danych |
| Dostępna moc | brak danych |
| Gaz na terenie (T/N) | – |
| Odległość przyłącza od granicy działki | brak danych |
| Wartość kaloryczna | brak danych |
| Średnica rury | brak danych |
| Dostępna objętość | brak danych |
| Woda na terenie (T/N) | – |
| Odległość przyłącza od granicy terenu | brak danych |
| Dostępna objętość | – |
| Odległość przyłącza od granicy terenu | brak danych |
| Dostępna objętość | brak danych |
| Oczyszczalnia ścieków na terenie bądź w bezpośrednim sąsiedztwie |
– |
| Telefony (T/N) | – |
| Odległość przyłącza od granicy terenu | brak danych |
Uwagi
| Brak |
Osoba przygotowująca ofertę
Osoby do kontaktu
