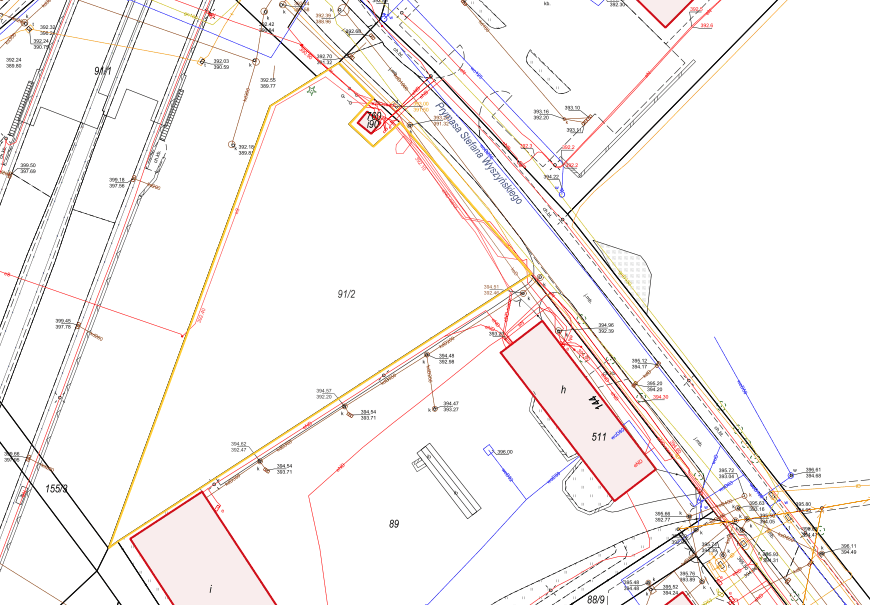
Działka nr 91/2 Wałbrzych, ul. Wyszyńskiego
Powierzchnia działki: 2 548 m2
Miejscowość: Wałbrzych
Dzielnica: Piaskowa Góra
Położenie
| Nazwa lokalizacji |
Działka nr 91/2 ul. Wyszyńskiego |
| Miasto/Gmina | Wałbrzych |
| Powiat | Wałbrzych |
| Województwo | dolnośląskie |
Powierzchnia nieruchomości
| Powierzchnia działki | 2 548m2 |
| Możliwość powiększenia terenu (krótki opis) |
Nie |
Informacje dotyczące nieruchomości
Nieruchomość pod zabudowę usługową w topowej lokalizacji na granicy Piaskowej Góry i Szczawna-Zdroju, w niewielkiej odległości od głównego skrzyżowania z obwodnicą miasta. Dla działki obowiązuje miejscowy plan zagospodarowania, który dopuszcza sytuowanie zabudowy kubaturowej do 4 kondygnacji. Przedmiotowa nieruchomość leży na terenie podmokłym narażonym na zalania. Na działkach przyległych została wybudowana infrastruktura odwodnieniowa związana z funkcjonowaniem obwodnicy-zbiorniki i rowy. W związku z powyższym istnieje ryzyko podtopienia terenu.
| Orientacyjna cena gruntu z nieruchomością | 380 000 zł netto |
| Właściciel/właściciele | Gmina Wałbrzych |
| Aktualny stan zagospodarowania przestrzennego (T/N) | T |
| Przeznaczenie w miejscowym planie zagospodarowania przestrzennego | 2 KP, U, KD(G) |
Charakterystyka działki
| Miejscowy Plan Zagospodarowania Przestrzennego (T/N) | T |
| Przeznaczenie terenu wg MPZP | 2 KP, U, KD(G) |
| Obecne użytkowanie nieruchomości | – |
| Budynki i zabudowania na terenie (T/N) | N |
Komunikacja
| Droga dojazdowa do terenu | Wyszyńskiego |
| Autostrada / droga krajowa [km] | Autostrada A4 [35 km]; Droga krajowa S3 [20km] |
| Najbliższy przystanek komunikacji miejskiej | Gałczyńskiego Wyszyńskiego[200 m] |
| Najbliższy przystanek dworzec PKP [km] | Wałbrzych Miasto [3,8 km] |
| Najbliższe lotnisko międzynarodowe [km] | Wrocław [70 km] |
| Najbliższe miasto wojewódzkie | Wrocław [70 km] |
Istniejąca infrastruktura
| Elektryczność na terenie (T/N) | – |
| – | |
| Napięcie | brak danych |
| Dostępna moc | brak danych |
| Gaz na terenie (T/N) | – |
| Odległość przyłącza od granicy działki | brak danych |
| Wartość kaloryczna | brak danych |
| Średnica rury | brak danych |
| Dostępna objętość | brak danych |
| Woda na terenie (T/N) | – |
| Odległość przyłącza od granicy terenu | brak danych |
| Dostępna objętość | – |
| Odległość przyłącza od granicy terenu | brak danych |
| Dostępna objętość | brak danych |
| Oczyszczalnia ścieków na terenie bądź w bezpośrednim sąsiedztwie |
– |
| Telefony (T/N) | – |
| Odległość przyłącza od granicy terenu | brak danych |
Uwagi
| Brak |
Osoba przygotowująca ofertę
Osoby do kontaktu
