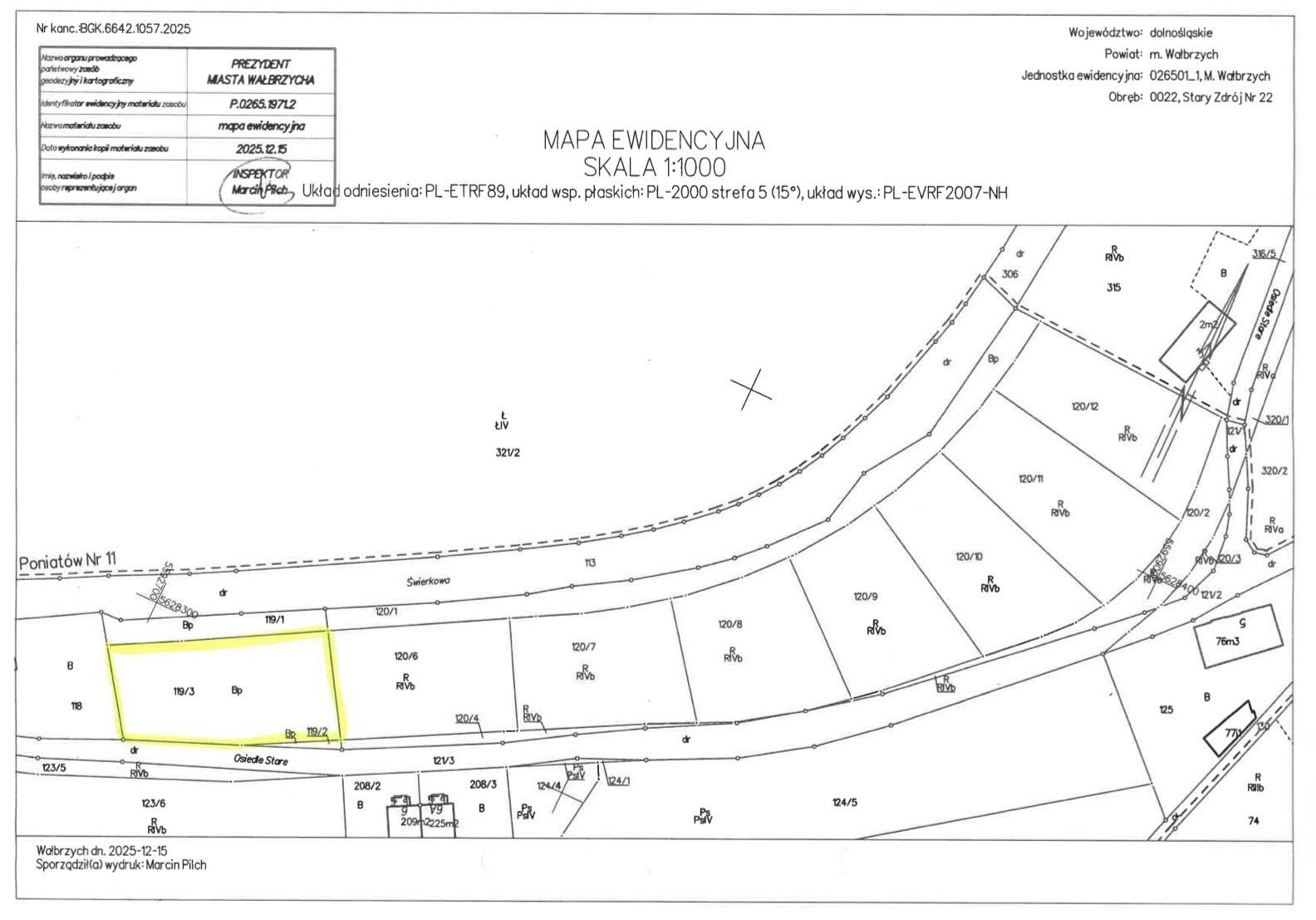
Działka nr 119/3 Wałbrzych, ul. Świerkowa
Powierzchnia działki: 1 147 m2
Miejscowość: Wałbrzych
Dzielnica: Stary Zdrój
Położenie
| Nazwa lokalizacji |
Działka nr 119/3 ul. Świerkowa |
| Miasto/Gmina | Wałbrzych |
| Powiat | Wałbrzych |
| Województwo | dolnośląskie |
Powierzchnia nieruchomości
| Powierzchnia działki | 1 147 m2 |
| Możliwość powiększenia terenu (krótki opis) |
Tak, działki sąsiadujące |
Informacje dotyczące nieruchomości
Nieruchomość o powierzchni 1147 m2, położona przy ul. Świerkowej w Wałbrzychu. Dla działki obowiązuje miejscowy plan zagospodarowania przestrzennego, który przeznacza go pod tereny zabudowy mieszkaniowej jednorodzinnej. Plan zezwala na realizacja jednego domu jednorodzinnego wolnostojącego bądź budynku bliźniaczego.
Dostęp do drogi publicznej nr 116456D, możliwy przez zlokalizowanie zjazdu na działkach 119/1 lub 119/2. Realizacja zjazdu na koszt inwestora. Działka posiada możliwość uzbrojenia w sieć wodno-kan. oraz sieć energetyczną.
| Orientacyjna cena gruntu z nieruchomością | 120 000 zł netto |
| Właściciel/właściciele | Gmina Wałbrzych |
| Aktualny stan zagospodarowania przestrzennego (T/N) | N |
| Przeznaczenie w miejscowym planie zagospodarowania przestrzennego | 7 MN |
Charakterystyka działki
| Miejscowy Plan Zagospodarowania Przestrzennego (T/N) | T |
| Przeznaczenie terenu wg MPZP | 7 MN |
| Obecne użytkowanie nieruchomości | – |
| Budynki i zabudowania na terenie (T/N) | N |
Komunikacja
| Droga dojazdowa do terenu | Świerkowa |
| Autostrada / droga krajowa [km] | Autostrada A4 [35 km]; Droga krajowa S3 [20km] |
| Najbliższy przystanek komunikacji miejskiej | 11 Listopada Radomska [1,7 km] |
| Najbliższy przystanek dworzec PKP [km] | Wałbrzych Miasto [3,2 km] |
| Najbliższe lotnisko międzynarodowe [km] | Wrocław [70 km] |
| Najbliższe miasto wojewódzkie | Wrocław [70 km] |
Istniejąca infrastruktura
| Elektryczność na terenie (T/N) | – |
| – | |
| Napięcie | brak danych |
| Dostępna moc | brak danych |
| Gaz na terenie (T/N) | – |
| Odległość przyłącza od granicy działki | brak danych |
| Wartość kaloryczna | brak danych |
| Średnica rury | brak danych |
| Dostępna objętość | brak danych |
| Woda na terenie (T/N) | – |
| Odległość przyłącza od granicy terenu | brak danych |
| Dostępna objętość | – |
| Odległość przyłącza od granicy terenu | brak danych |
| Dostępna objętość | brak danych |
| Oczyszczalnia ścieków na terenie bądź w bezpośrednim sąsiedztwie |
– |
| Telefony (T/N) | – |
| Odległość przyłącza od granicy terenu | brak danych |
Uwagi
| Brak |
Osoba przygotowująca ofertę
Osoby do kontaktu
